-
El huracán Patricia rompe récord de vientos y presión en el Pacífico, se le considera como uno de los fenómenos más fuertes que registra México. (Foto: www.wptv.com)
Habitantes de la zona turística de Puerto Vallarta en el estado de Jalisco resguardan las instalaciones de sus casas y negocios ante la llegada del huracán Patricia. (Foto: Efe)
Habitantes de la zona turística de Puerto Vallarta en el estado de Jalisco hacen compras de emergencia ante la llegada del huracán Patricia. (Foto: Efe)
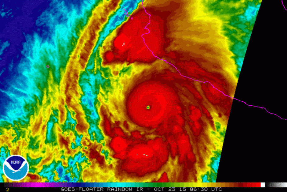
Fotografía de satélite facilitada por la Agencia Nacional de Océanos y Atmósfera de Estados Unidos (NOAA, en inglés) que muestra una imagen en la que se aprecia al huracán Patricia en su aproximación a la costa de México. (Foto: Efe)
Mexicanos se preparan para la llegada del huracán Patricia que está próximo a tocar las costas del pacífico. (Foto: www.bbc.com)