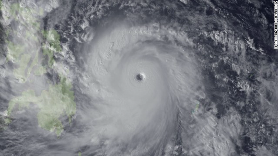
Con vientos sostenidos de hasta 313 kilómetros por hora, un súper tifón de categoría 5, el más grande de los que se tiene conocimiento, ha tocado tierra en Filipinas, donde más de 2 mil 500 personas están siendo desalojadas.
Bautizado como Haiyan, este fenómeno se desplaza por el Pacífico occidental, dentro de una tormenta de unos 800 kilómetros de diámetro conocida como "Yolanda" y que afecta a casi dos tercios del país.
La policía local ha informado que la mayoría de reubicados son de la ciudad de Tacloban, en la isla de Leyte. Sin embargo, la agencia climática filipina advierte que más de 30 provincias deben prepararse para posibles inundaciones y deslaves causados por las lluvias torrenciales.
En la trayectoria de la tormenta, que podría fortalecerse mañana, se encuentra la isla de Bohol y la de Bacaray, dos de los puntos turísticos más vulnerables pues, según el presidente Benigno Aquino, la marea en las zonas costeras podría subir hasta 7 metros.
Ante esta situación, la mayoría de escuelas de la región suspendieron hoy las clases, mientras que los aeropuertos cancelaron sus vuelos como medidas de prevención. Las autoridades también han recomendado surtirse de alimentos básicos y comentaron que 20 navíos de la armada y 32 helicópteros militares están listos para intervenir en caso de catástrofe.
En promedio, Filipinas enfrenta anualmente una media de 20 tifones, siendo el de Bopha, en diciembre de 2012, el último que causó severos daños en la isla Mindanao, donde fallecieron 1,900 ciudadanos.
Oremos para que se resguarden RT @SkyAlertStorm: El impresionante Tifón #Haiyan ... Alerta máxima en Filipinas pic.twitter.com/LRrbHuvvDH
@PedroCFernandez @ecazatormentas Supertifón #Haiyan, 150 kts, ráfagas de 180 kts ahora mismo pic.twitter.com/YvwxTZkExB
Imagen de disco completo con el tifon #Haiyan pic.twitter.com/1yzTWvV9Jk
La furia de la naturaleza! Impresionante vídeo del tifón #Haiyan #Yolanda sobre Filipinas. Vía @SkyAlertStorm http://t.co/gta8AMcz2K





