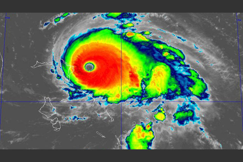
El ciclón Dorian ha sido catalogado como un huracán de categoría 5 este 1 de septiembre luego de que alcanzara vientos máximos sostenidos de 260 kilómetros por hora, según indica el Centro Nacional de Huracanes de EE.UU. (NHC).
"La frontera del ojo de este catastrófico huracán está a punto de azotar las islas Ábaco (Bahamas) con vientos devastadores", alertó el NHC. "También se esperan lluvias torrenciales y marejadas que podrían poner en peligro la vida", añadió.
Al momento de la nota, los meteorólogos detallan que Dorian se encuentra a 360 kilómetros de West Palm Beach (Florida), dirigiéndose a la costa estadounidense, donde se están tomando fuertes medidas ante un potencial desastre.
Ante la llegada del huracán Dorian, las autoridades de Bahamas llevaron a cabo este sábado la evacuación de las regiones de la costa norte y de islas de baja altitud.
⚠️#Dorian ya es de categoría 5 https://t.co/SNivBA8n3P
— Noticias CMM (@CMM_noticias) September 1, 2019
️El huracán, a punto de alcanzar las islas Abaco, tiene vientos devastadores y constantes de 260 kilómetros por hora #HurricaneDorian pic.twitter.com/kWlsv8ERkR
De acuerdo con el Centro Nacional de Huracanes, esta nueva información provino de mediciones realizadas por un avión cazatormentas que incursionó hasta el ojo del huracán.
NHC 11am
— Jim Cantore (@JimCantore) September 1, 2019
: DORIAN BECOMES THE STRONGEST HURRICANE IN MODERN RECORDS FOR
THE NORTHWESTERN BAHAMAS....
913mb
180mph winds
moving w at 7mph pic.twitter.com/VY4ziKv2An
"Es probable que haya algunas fluctuaciones en la intensidad, pero se espera que Dorian siga siendo un poderoso huracán durante los próximos días", indicó el NHC.
- TE PUEDE INTERESAR:
*Con información de Actualidad RT





