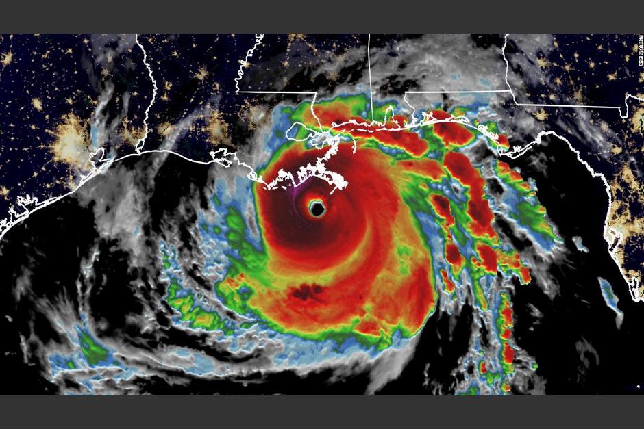
Un piloto aviador voló dentro del huracán Ida, considerado como uno de los más peligrosos que ha tocado tierra en Estados Unidos (EE. UU.), en los últimos 10 años.
ADEMÁS: Las sorprendentes imágenes del huracán "Ida" desde el espacio
El video fue compartido por el Centro Nacional de Huracanes de Atlanta, quien asegura que fue tomado desde el interior del ojo del huracán Ida la mañana de este domingo 29 de agosto.
Stunning video taken from inside the eye of #Ida this morning by the NESDIS Ocean Winds Research team during a flight on the @NOAA_HurrHunter P3 aircraft @NOAASatellites pic.twitter.com/sjt970Yeiq
Mientras que en el portal del "Cazadores de Huracanes" se publicaron dos videos más en las que se logró captar el centro de Ida minutos antes de que tocara tierra en Luisiana, Nueva Orleans, EE. UU.
Contrario a lo que viven miles de residentes estadounidenses, el centro del huracán muestra un ambiente soleado, en el que se puede observar un cielo azul en medio de una gran nubosidad.
Second pass: pic.twitter.com/h7IyGApoXe
Al ser un huracán categoría 4, Ida tocó tierra provocando vientos de hasta 240 kilómetros por hora. Hasta ahora ha provocado una gran cantidad de daños, principalmente en estructuras, así como la evacuación de miles de personas.
Ida azota Luisiana, justo en el aniversario 16 del paso del huracán Katrina que devastó la región sur de EE. UU.





