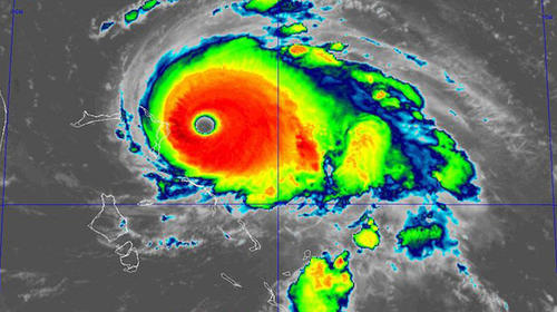
El poderoso Huracán Dorian azotó el norte de las Bahamas este domingo con lluvias torrenciales y vientos cercanos a los 300 km/h, un fenómeno de una potencia sin precedentes en la historia de este archipiélago ubicado entre Florida, Cuba y Haití.
El huracán de categoría 5, calificado de "catastrófico" por el estadounidense Centro Nacional de Huracanes (NHC), tocó tierra al mediodía en el cayo Elbow de las islas Ábaco, en el noroeste de las Bahamas, un archipiélago formado por 700 islas, islotes y cayos.
- TAMBIÉN...
"Nos enfrentamos a un huracán (...) como no habíamos visto nunca en la historia de las Bahamas", declaró el primer ministro Hubert Minnis, quien rompió a llorar en la conferencia de prensa. "Probablemente sea el día más triste de mi vida", agregó.
El NHC, con sede en Miami, informó que al tocar tierra Dorian igualó el récord del huracán más potente del Atlántico, que data de 1935. Su director, Ken Graham, aseguró que se trata de "una situación extremadamente peligrosa".
Dorian es un huracán monstruoso. Espero que todos hayan buscado refugio y que puedan manejar la emergencia de la mejor manera posible en Bahamas. pic.twitter.com/wvcJe1fhr1
— Valeria Collazo (@ValeriaCollazoC) September 1, 2019
Desde la Casa Blanca, el presidente de Estados Unidos, Donald Trump, ha pedido la máxima vigilancia de este huracán "muy, muy poderoso".
Después de las Bahamas, se espera que el huracán se acerque a la costa este de Florida entre lunes por la noche y el martes, pero es difícil predecir con qué intensidad golpeará ese Estado tras su cambio de trayectoria.
Habitantes de la isla Ábaco de Bahamas pedían ayuda “Please pray for us” “Por favor oren por nosotros”, mientras pasaba el Huracán Dorian. Prácticamente dejó la zona totalmente destruida. #noticias #news #dorian #bahamas pic.twitter.com/8nRRsVrQ1l
— Sergio Novelli (@SergioNovelli) September 1, 2019
"Se está moviendo y es muy difícil de predecir", había resumido el presidente Donald Trump en un tuit el sábado.
"Inicialmente tenía que golpear directamente a Florida", pero ahora parecía dirigirse a Georgia y Carolina del Sur, dijo, y agregó que el camino de Dorian podría cambiar nuevamente. Trump anuló el viaje que debía efectuar a Polonia este fin de semana.
Habitantes de la isla Ábaco de Bahamas pedían ayuda “Please pray for us” “Por favor oren por nosotros”, mientras pasaba el Huracán Dorian. Prácticamente dejó la zona totalmente destruida. #noticias #news #dorian #bahamas pic.twitter.com/8nRRsVrQ1l
— Sergio Novelli (@SergioNovelli) September 1, 2019
Una evacuación obligatoria se ordenó por las regiones costeras de Palm Beach y el condado de Martin, en Florida.
Así ha quedado Bahamas después del paso del huracán Dorian, de categoría 5, según primeros reportes de @WPLGLocal10.
— Peniley Ramírez (@penileyramirez) September 1, 2019
Una devastación total. Un abrazo enorme a todos los caribeños que viven el cambio climático, mientras los políticos siguen negándolo.
pic.twitter.com/qA3uKtAOoN
- TE PUEDE INTERESAR...





