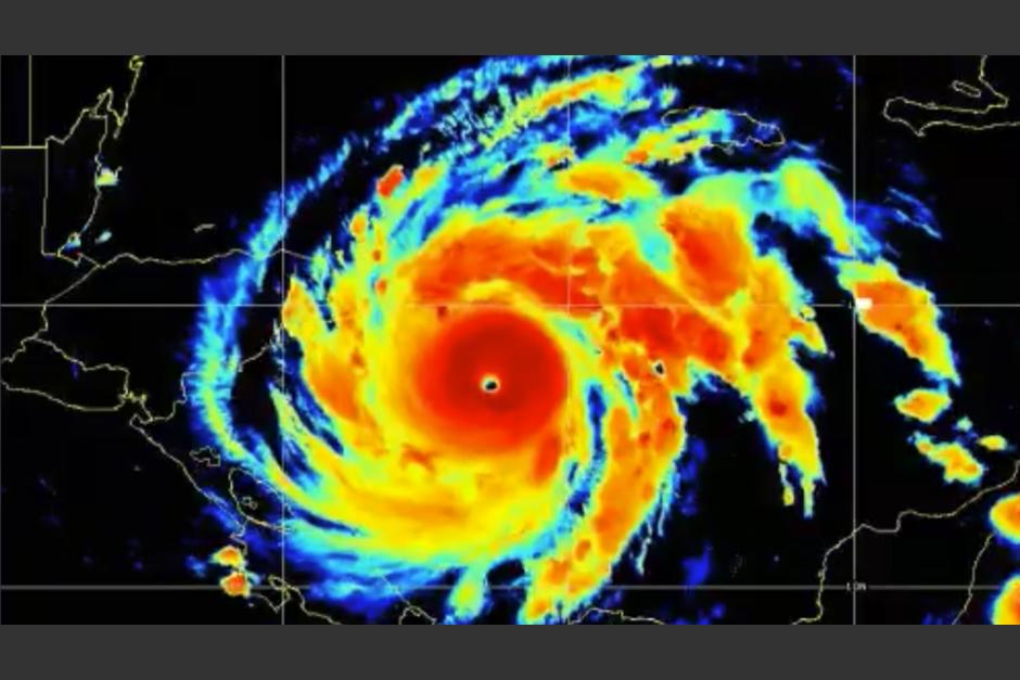
El huracán Iota se convirtió aumentó su fuerza y alcanzó la categoría 5 durante la mañana de este lunes 16 de noviembre. Se prevé que en las próximas horas toque tierra en las costas de Nicaragua.
⭐️ Síguenos en Google News dando clic a la estrella
El Centro Nacional de Huracanes de Estados Unidos (NCH, por sus siglas en inglés) advirtió que el huracán Iota se fortaleció a categoría 5 previo a tocar tierra en Nicaragua, país en el que las autoridades ya realizaron evacuaciones masivas ante la amenaza de destrucción, inundaciones y deslaves.
Here are the 10 am EST Key Messages for category 5 Hurricane #Iota. Extreme winds and a life-threatening storm surge are expected along portions of the coast of northeastern Nicaragua. Life-threatening flash flooding is also expected in Central America. https://t.co/tW4KeFW0gB pic.twitter.com/CP5u0WQY5m
El NHC pronostica que Iota azote a los países centroamericanos con vientos catastróficos y marejadas ciclónicas “potencialmente mortales”. Iota se mantenía con vientos sostenidos de 245 kilómetros por hora.
En Guatemala, el Instituto Nacional de Sismología, Vulcanología, Meteorología e Hidrología (Insivumeh) estima que se incrementarán las lluvias en Petén, Izabal, Alta y Baja Verapaz, el norte de Huehutenengo y Quiché y en algunas regiones de Zacapa y Chiquimula.
Durante la noche, la Cruz Roja Guatemalteca reportó que en el departamento de Izabal cayeron las primeras lluvias provocadas por el huracán Iota.
- MIRA:
“Debido a que los suelos continúan saturados y las lluvias incrementarán sobre la mayor parte del país desde el martes, se recomienda tomar las precauciones necesarias”, detalló David de León, portavoz de la Conred.





